Causa revuelo imagen del huracán Matthew parecida a una calavera
Esta circulando en las redes sociales una imagen de una calavera sonriente que no es más que la trayectoria del huracán Matthew vista desde satélite supuestamente cuando cruzaba sobre Haití. Varios m...

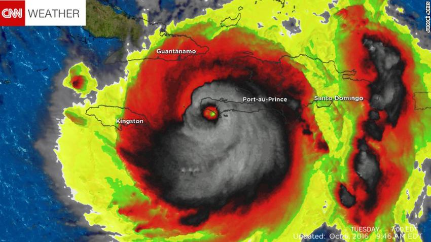
Esta circulando en las redes sociales una imagen de una calavera sonriente que no es más que la trayectoria del huracán Matthew vista desde satélite supuestamente cuando cruzaba sobre Haití.
Varios medios de comunicación internacionales difundieron la imagen de una supuesta calavera con dientes que habría “dibujado” el huracán Matthew a su paso por el suroeste de Haití
La foto de satélite fue publicada este martes por el meteorólogo Stu Ostro del canal Weather Channel cuando el huracán estaba tocando tierra en Haití.
Sin embargo para el meteorólogo Luis Felipe Jerez se trata de una imagen alterada en internet y no un ser maligno como lo catalogan en internet.
Por otro lado, el meteorólogo indicó que la trayectoria que mantiene el huracán Matthew podría retroceder, pero no afectaría al país.
Coincide con ese punto, el propietario de una tienda de artículos de santería. Indicó que el evento natural no tiene que ver con un ser diabólico.
La imagen que aun sigue colgada en internet, se ha convertido viral y ha dado la vuelta al mundo.








